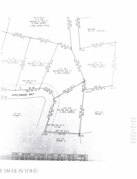
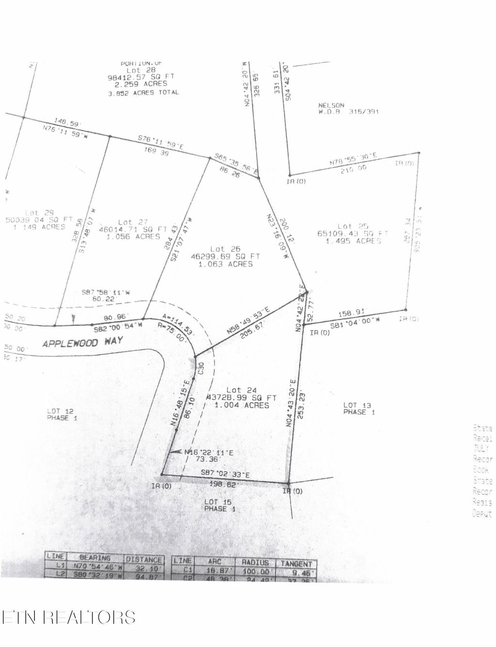
1.04 Acre Mobile Home Friendly Lot on English Mountain! Discover the perfect blend of privacy & convenience on this 1.04-acre wooded lot located just outside city limits. This property is ready for your vision with driveway already installed & electricity, public water, fiber optic internet available at road. Great cell service & water tap already on property. Subdivision septic approved for 3 BR's! The lot is surveyed with corners clearly marked, offering peace of mind and easy planning. Plat in listing pictures will better help you understand the lot boundary. Adjoining lot 15 is also available & seller may offer better deal for both! Only three deed restrictions to protect your investment & maintain the neighborhoods appeal: (1) No junkyard or inoperable cars placed or abandoned on lot. (2) Mobile Homes must be at least 12 X 60 in size, must be anchored & underpinned, have a front & back porch and kept neat. (3) No noxious or offensive activity to be public or private nuisance. Enjoy the flexibility of being outside city limits while still having access to most modern utilities. Whether you're looking to place a newer mobile home, build a cabin retreat, or invest in a piece of land w/potential, this lot is ready to go! Close proximity to I-40, Town, school, Carson Springs Baptist Center, Pigeon Forge, Dollywood, Gatlinburg, Dandridge, Morristown, Hot Springs, The Great Smoky Mtn National Park, Cosby & Big Creek Campground, Appalachian Trail, Douglas Lake, Cataloochee Valley & Maggie Valley! Welcome to The Smoky Mtns, enjoy the best of Tennessee's beauty, natural resources & generous hospitality! Drone pictures used in listing
LAST UPDATED
|
10/8/2025
|
TRACT
|
Applewood Estates
|
YEAR BUILT
|
0
|
COMMUNITY
|
Cocke County - 39
|
COUNTY
|
Cocke County - 39
|
STATUS
|
Active
|
PROPERTY TYPE(S)
|
Lot/Land/Acreage
|
|
|
AREA |
Cocke County - 39 |
LOT |
1.04 acre(s) |
LOT DESCRIPTION |
Rolling Slope, Wooded |
LOT DIMENSIONS |
N/A |
SUBDIVISION |
Applewood Estates |
TAXES |
99.84 |
VIEW |
Yes |
VIEW DESCRIPTION |
Trees/Woods |
ZONING |
Zoned Residential |
We respect your online privacy and will never spam you. By submitting this form with your telephone number
you are consenting for Sonny
Ferguson to contact you even if your name is on a Federal or State
"Do not call List".
Listed with Massey Realty
The data relating to real estate for sale on this Web Site comes from the IDX Program of the East Tennessee Realtors® Multiple Listing Service. © Copyright 2025. All rights reserved.
This information is being provided for the consumers' personal, non-commercial use and may not be used for any purpose other than to identify prospective properties the consumers may be interested in purchasing. This information is updated weekly, however, some of these properties may subsequently have sold and may no longer be available. The Real Estate Broker providing this data believes it to be correct, but advises interested parties to confirm the data before relying on it in a purchase decision.
This IDX solution is (c) Diverse Solutions 2025.
Save favorite listings, searches, and get the latest alerts
Save your favorite listings, searches, and receive the latest listing alerts