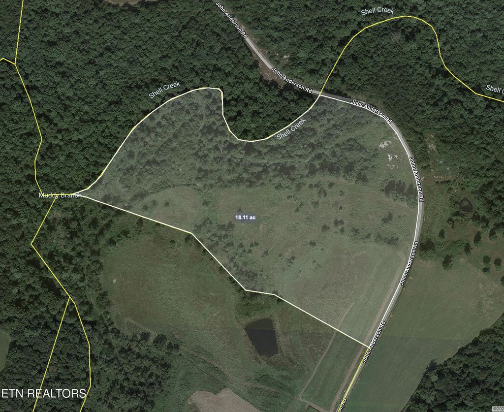
19.57 ACRES of Land mostly Flat & ready to build upon or Farm a couple of sections. Some of the 19.57 acres has mature timber leading down to the western boundary CREEK which is good sized. Power & Water are street side. 2 excellent building sites. Nice mixture of cleared flat pasture land already in place, & Wooded timber land. Located on a dead end road for privacy. Internet available in this area.
|
LAST UPDATED
|
2/10/2026
|
YEAR BUILT
|
0
|
|
COMMUNITY
|
Morgan County - 35
|
COUNTY
|
Morgan County - 35
|
|
STATUS
|
Active
|
PROPERTY TYPE(S)
|
Lot/Land/Acreage
|
| AREA |
Morgan County - 35 |
| LOT |
19.57 acre(s) |
| LOT DESCRIPTION |
Irregular Lot, Private, Rolling Slope, Wooded |
| LOT DIMENSIONS |
See Acreage |
| TAXES |
430 |
| VIEW |
Yes |
| VIEW DESCRIPTION |
Mountain(s), Trees/Woods |
| WATERFRONT DESCRIPTION |
Creek |
| ZONING |
Zoned Residential, Zoned Agricultural |
We respect your online privacy and will never spam you. By submitting this form with your telephone number
you are consenting for Sonny
Ferguson to contact you even if your name is on a Federal or State
"Do not call List".
Listed with Burks Diskin Real Estate
The data relating to real estate for sale on this Web Site comes from the IDX Program of the East Tennessee Realtors® Multiple Listing Service. © Copyright 2026. All rights reserved.
This information is being provided for the consumers' personal, non-commercial use and may not be used for any purpose other than to identify prospective properties the consumers may be interested in purchasing. This information is updated weekly, however, some of these properties may subsequently have sold and may no longer be available. The Real Estate Broker providing this data believes it to be correct, but advises interested parties to confirm the data before relying on it in a purchase decision.
This IDX solution is (c) Diverse Solutions 2026.
Save favorite listings, searches, and get the latest alerts
Save your favorite listings, searches, and receive the latest listing alerts